一、测试背景
自无人机机载雷达应用于地形测绘以来,在植被茂密区域,为获取更高精度、更完整的地形数据,从业者往往更依赖长测程激光雷达载荷,其更强的能量、更好的穿透性更被行业信任。
D-LiDAR800是飞马机器人推出的首款轻小型高精度激光雷达载荷,旨在打破行业内对短测程激光雷达的固有概念,其同样可实现更高精度地形数据的获取。
D-LiDAR800以飞马机器人自研高精度IMU及高性能测绘相机为依托,集成1550nm波长、5mm测距精度的单线扫描激光器,性能指标大幅跃升,重新定义“轻量化”激光雷达载荷,为用户带来更高精度、更高可靠性、更高易用性的使用体验。
二、测试目的
验证D-LiDAR800激光雷达载荷在不同地形、不同植被密度区域的穿透情况。
本次测试在国内不同省市、不同地形选择了四个测区进行飞行测试。测区分别位于四川省遂宁市、广东省汕尾市、云南省玉溪市、湖北省武汉市,均为高植被覆盖的典型地形区域。
三、测试场景
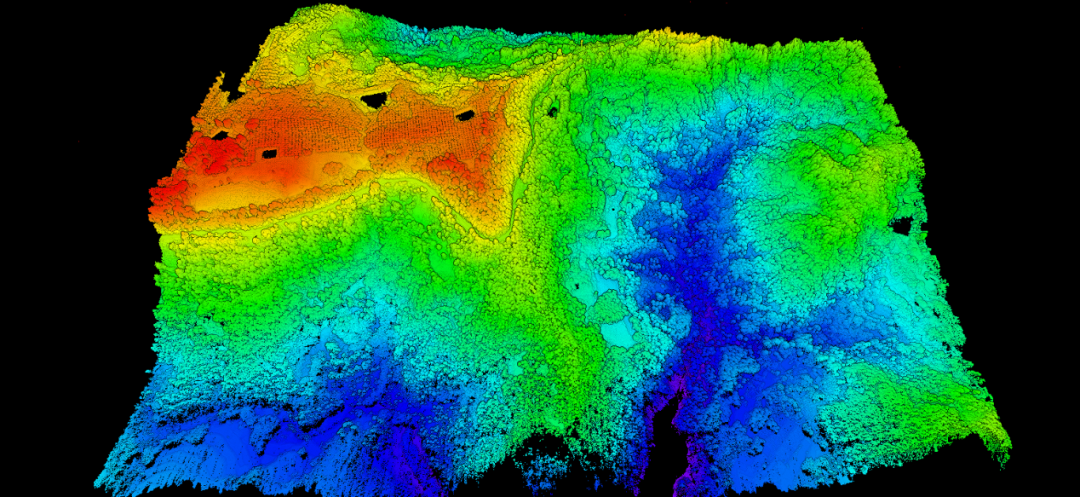
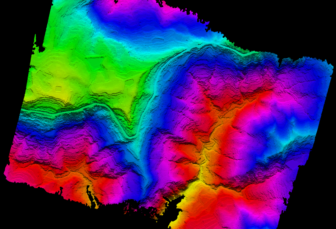
四川遂宁测试
测区激光雷达成果
测区数字高程模型成果
对四架次同位置选取一植被密度较高区域进行剖面绘制,各架次剖面图如下,可以看出,在不同航高下,选取适宜的飞行参数,均可达到较好的穿透性,但不同点频下,点云密度存在明显区别。
1.4 250米以上航高穿透性展示
在测区同位置、250米及300米航高下,通过设置合适的点频,植被下方地形点连续性基本一致。
广东汕尾测试
测区正射影像成果
测区激光雷达成果
测区数字高程模型成果
云南玉溪测试
测区正射影像成果
测区激光雷达成果
测区数字高程模型成果
为测试D-LiDAR800载荷航高的极限值,本次测试基于100kHz点频,分别飞行300米及350米高度,对两组数据同位置进行剖面绘制、分析。如下图,可以看出350米航高下,地形点连续性同样可观,相较于300米飞行高度,无明显连续性缺失。
不同航高同位置穿透性:
不同航高同位置穿透性:
湖北武汉测试
测区范围
测区标准点云成果
测区数字高程模型成果
本次测试在110米航高下,选取了不同点频进行飞行测试,为验证其穿透性,选择在河边超高密度植被覆盖区域及山区植被覆盖区域各自进行剖面绘制、分析,可以看出110米航高下,两种点频达到的植被穿透性基本一致,但500kHz点频下,点云密度明显更高。
同航高不同点频穿透性:
同航高不同点频穿透性:
该测区河边超高密度植被覆盖区域,200米及以上航高可实现部分地形数据获取,但存在明显稀疏的情况;山区地形下,200米及300米航高下均可实现较好的连续地形数据获取。
不同参数同位置穿透性:
不同参数同位置穿透性:
四、测试总结
通过本次测试可以看出,D-LiDAR800激光载荷穿透性在丘陵、山区、高山区等植被覆盖度高的区域均表现良好。通过设置适宜的激光点频,可实现300~350米航高下的完整地形数据获取,为轻小型无人机平台带来数据获取新体验!
结合测试情况及理论经验,为您推荐飞行设置参数如下:
备注1:仅供参考,理论上相同飞行高度下,点频越低,穿透性越好。
备注2:植被密度一般区域可参考我国北方地形;植被密度较高区域可参考南方常绿植被地形。
五、载荷参数
深圳飞马机器人科技有限公司,由IT、无人机领域高管及资深专家联合创办,致力于民用超小型无人机系统的研发、生产及销售。
公司成立于2015年2月,注册资金6300万。
北京、深圳均设研发中心,近10年的无人机行业、技术积累,结合IT领域产品设计、工业化制造经验,飞马机器人致力于为客户提供便捷易用的工业级无人机及创新的消费类无人机产品。
飞马秉承创新、价值、诚信的核心价值观,为客户提供极佳使用体验、安全、技术领先的无人机产品,志在成为全球无人机行业的领导者。
