阿里云正帮助中国农业无人机企业极飞科技解决农业生产与生态环境难题。
据极飞科技发布的行业首份社会责任报告显示,同阿里云合作,极飞通过利用自动飞行、精准施药的无人机技术,帮助了400多万名农户应对农村雇工困难、人工成本上涨等难题,并避免了因传统施药方式带来的作物损害。

同时,利用精准喷洒技术,极飞为农户节省了140多万吨农业喷洒用水,减少了超过6000吨的农药与化肥使用,保障农业生产与生态环境的可持续发展。
云计算是智慧农业的基础。阿里云帮助极飞无人机实现了精准农业设备的高效、安全运转,简化了农业生产方式。
例如,依托阿里云的云计算、数据库及云存储技术,极飞建立了完善的农田导航网络,无人机可通过接入高清农田地图自动生成航线,精准飞行和喷洒,实现标准化的农事服务。
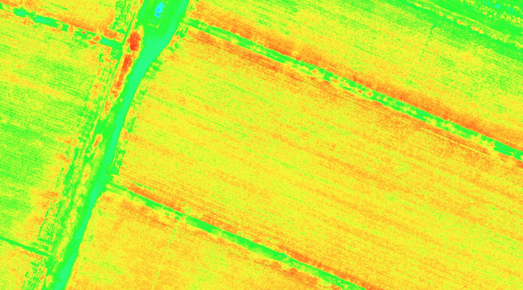
此外,利用云技术与AI,极飞航测无人机在拍摄高清农田图像后,可进行植物长势与病虫草害的分析,精准指导施药无人机进行针对性的喷洒作业,大大减少农药、化肥的滥用。

基于云技术与人工智能的农田遥感,协助精准决策
对科技赋能农业,阿里云展示了极大的热情。除了与农业无人机企业合作,阿里云还将AI技术送进猪场,提供智慧畜牧解决方案;与合作伙伴一起,利用物联网技术进行滴灌,在内蒙古巴林右旗一年节省了1550万立方米的水,相当于1.5个西湖。

